Contents
Background
For many years this cottage and the adjacent houses were part of a plot occupying approximately half an acre surrounded by land belonging to the Half Moon Pub and Blacksmith’s. This piece of land was known by the 1814 Inclosures Commission as “Piece 126”: a separate page here charts the history of that plot up to the point where it started to fragment.
1992
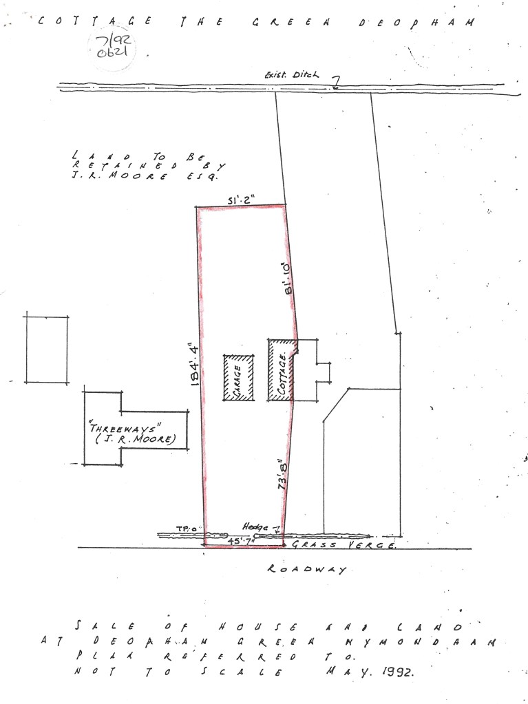
Judith Charlish acquired The Cottage in 1992. When the The Cottage, 1 The Green, was registered with the Land Registry in September 1992, it included land that had previously been part of the Half Moon, sold by the brewery Steward and Patteson as detailed here. As such, this piece of ground, shaded pink on the plan below, came under the covenant entered into with the brewery prohibiting the sale of intoxicating liquors etc.
The plan used as the basis for this identification recorded the Half Moon as “Seven Acres”. Also of interest is that it shows a Filling Station towards Halffield Lane on land now occupied by “Amadeus” and “Old House”.


With thanks to Martin Cavicchioni for sight of these plans.
2025
The Cottage in 2025; No 1 is the left-hand half.

Photo: G. Sankey 9/2025
Also
The other properties that were built on the same piece of land were:-
Navigation
| Date | Change |
|---|---|
| 23/9/25 | Published |
