Contents
- 1814 Post-Enclosure Map
- 1815 Survey of Deopham
- 1843 Tithe map
- May 1882 Auction of Farm
- October 1882 Sale of Farm
- 1890 – Charles Hurrell agrees lease
- 1900 – Charles Hurrell served notice to quit
- 1900 Copyholds
- June 1901 – Sale of the Farm
- July 1901 – Bills for expenses incurred in sale
- 1933
- Navigation
1814 Post-Enclosure Map
The following extract from the 1814 enclosures map shows the Brasnett holdings around what is now Laurel Farm.

All rights reserved by Norfolk Record Office who hold the original; their ref is NRO C/Sca 2/86
1815 Survey of Deopham
At the time of the 1815 Survey, Laurel Farm was owned by Robert Brasnett and occupied by Rowing Brasnett. The identification with Laurel Farm can be made by the correspondence of the field names and acreages with later surveys (see below).

1843 Tithe map

All rights reserved by Norfolk Record Office who hold the original; their ref is NRO DN/TA 743
The following page is the record of land owners and occupiers at the time of the above 1843 map. The owner of this group of fields and premises was Bridgett Brasnett, and it was occupied by Frederick Turner:-

All rights reserved by Norfolk Record Office who hold the original; their ref is NRO PD 485/28
When Bridget Brasnett married William Page in 1846, they entered into an agreement to give Robert Brasnett and Thomas Brasnett use of this farm. Robert Brasnett died in 1846. Thomas Brasnett died in 1879 leaving his inheritance to his two sons, Edward (who died in 1878) and Thomas John Brasnett. Bridget’s husband William died in 1865 meaning that when Bridget died on October 20th 1881, the sole inheritor of the 1846 agreement was Thomas John Brasnett. Archibald Rowing was the sole surviving executor. There are more details of these events in the document reproduced here.
May 1882 Auction of Farm
In May 1882, on the instructions of Archibald Rowing as executor, the farm was presented for auction.




Reproduced by courtesy of Wymondham Town Archive; their ref: BF61.
At this auction, Mr. Thomas Cross was the successful bidder and paid his deposit of £160-10s against the total bid of £1,070.

Reproduced by courtesy of Wymondham Town Archive; their ref: BF61.
October 1882 Sale of Farm
It would appear that for some reason this sale to Mr. Cross was not completed; Archibald Rowing, as executor of the estate, made an arrangement with his sister Mary Ann Rowing so that she could purchase Laurel Farm on October 11th 1882 for £1,070 (the same price that had previously been obtained in the auction of May that year). There are further details in the conveyance reproduced here.
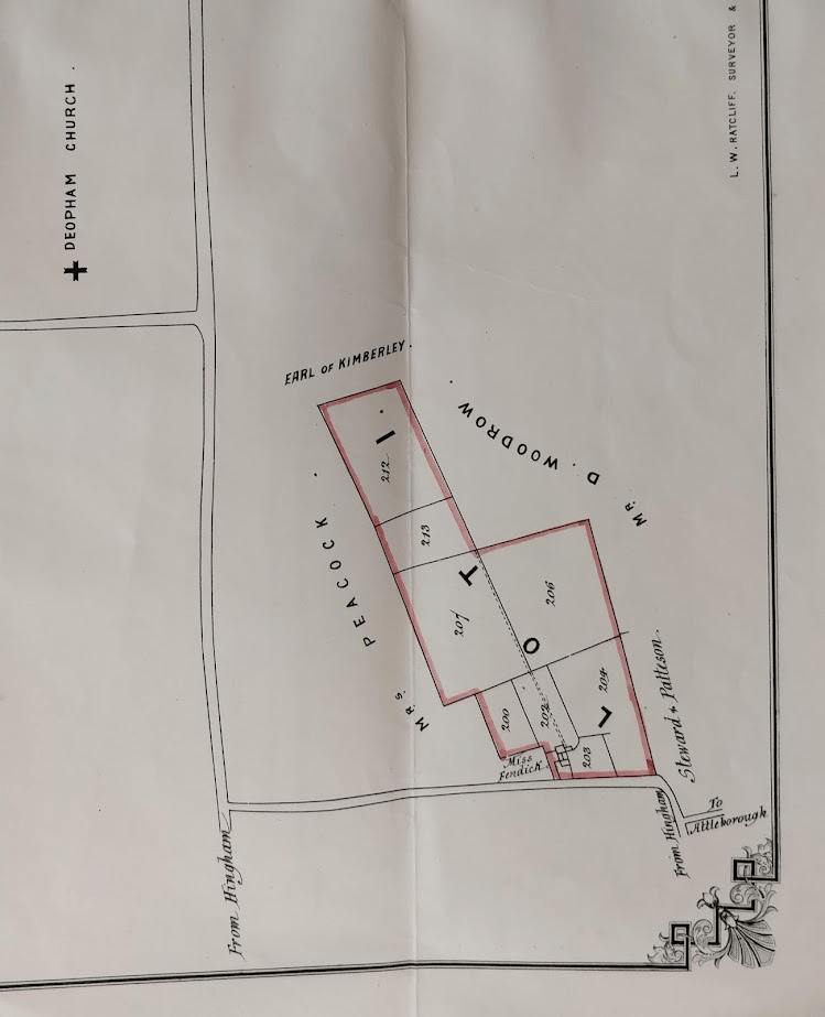
The following plan, which is located in a collection of papers from Pomeroys solicitors of Wymondham, shows “Property at Deopham belonging to Bridget Page deceased”. The name Bridget Page has been changed to Mary Ann Rowing confirming that there had been a change of ownership.

Reproduced by courtesy of Wymondham Town Archive; their ref: 82/119

Reproduced by courtesy of Wymondham Town Archive; their ref: 82/121
The tithe map plot numbers on the extract above can be identified on the tithe map of 1843 shown at the top of this page.
1890 – Charles Hurrell agrees lease
In 1890 Charles Hurrell agreed the terms of a lease to the farm with Mary Ann Rowing. This lease is of interest not only as a legal document but in its reflection of farming practices at that time.
1900 – Charles Hurrell served notice to quit
This notice was served in October 1900 to leave Laurel Farm on Michaelmas day (September 29th) 1901, after he had taken on the tenancy of Church farm in 1897. He was therefore responsible for both farms for a period of four years.


Reproduced by courtesy of Wymondham Town Archive; their ref: 82/107
1900 Copyholds
The following plan is an “extract from the Deopham Inclosure Map shewing position of Copyholds“; these are referred to in the 1901 sales particulars reproduced below.

Reproduced courtesy Wymondham Town Archive, their ref: 82/120
June 1901 – Sale of the Farm
This sale followed the death of Mary Ann Rowing in 1900. There are details of the sale of the household contents of the farm on the Mary Rowing page. Lot 1 refers to Laurel Farm.


The auctioneer’s jottings on his copy of the particulars show that Laurel Farm was sold to Standley (who was presumably acting as agent for Walter Allen) for £710:


Reproduced by courtesy of Wymondham Town Archive; their ref: 10079-82/140.
The other two properties included in this auction were at Hackford (land around and including what is now Ashgrove) and at Morley St. Botolph:



Reproduced by courtesy of Wymondham Town Archive; their ref: 82/114

July 1901 – Bills for expenses incurred in sale
Auctioneers


Reproduced courtesy of Wymondham Town Archive.
Solicitors
The following is an extract from Pomeroys’ account to the trustees of Archibald Rowing’s estate:

The final page:

Reproduced courtesy of Wymondham Town Archive, ref 82/99
Thomas Rowing Fendick’s Solicitors


Reproduced courtesy of Wymondham Town Archive, ref 82/103.
1933
The 1933 edition of Kelly’s Directory records that Charles Leverett was farming Laurel Farm.
Navigation
| Date | Change |
|---|---|
| 30/5/24 | Fendick’s solicitors’ invoice |
| 15/4/24 | Tenancy of Church Farm |
| 20/11/23 | Bridget Brasnett details and link |
| 11/9/23 | 1933 Directory link |
| 7/9/23 | Hurrell lease |
| 30/8/23 | Copyholds map |
| 22/8/23 | Walter Allen contract to purchase |
| 20/8/23 | Hurrell notice to quit |
| 16/8/23 | Published |